搜索

[釣行] 11月中有白立釣

[複製鏈接]
justy 發表於 14/11/2011 00:00:11 | 顯示全部樓層 |閱讀模式 IP:- 香港
<
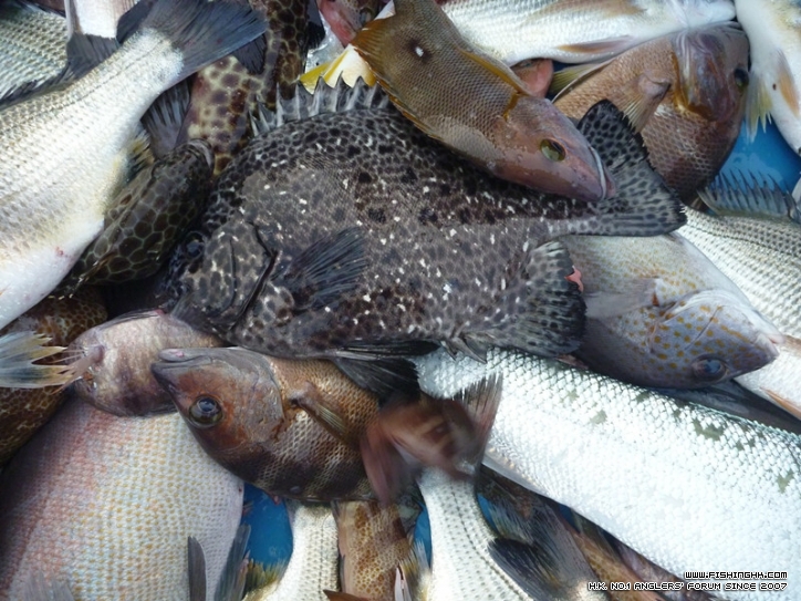
約有30條,斤零多,最大兩斤,第一次中花金鼓

P1010336 - Copy_副本.jpg
P1010335_副本_副本.jpg
P1010341_副本.jpg
P1010340_副本.jpg
P1010339_副本.jpg

figs 發表於 14/11/2011 10:44:36 | 顯示全部樓層 IP:- 香港
弓喜! 弓喜! 好好收穫.........
回復 支持 反對

使用道具 舉報

alexsin 發表於 14/11/2011 12:36:09 | 顯示全部樓層 IP:- 廣東深圳
恭喜師兄好多立呀係邊倒釣呀
回復 支持 反對

使用道具 舉報

IKADA 發表於 15/11/2011 12:23:27 | 顯示全部樓層 IP:- 香港
嘩...................連個山都遮埋....唔洗阿華!
回復 支持 反對

使用道具 舉報

tinyau 發表於 15/11/2011 15:18:55 | 顯示全部樓層 IP:- 香港
點解唔打埋d魚呀!!!!!!!!!!!
回復 支持 反對

使用道具 舉報

大鯛俠 發表於 16/11/2011 13:17:05 | 顯示全部樓層 IP:- 香港
嘩...................連個山都遮埋....唔洗阿華!<--------------笑左XD
回復 支持 反對

使用道具 舉報

您需要登錄後才可以回帖 登錄 | 魚民註冊

本版積分規則

手機版|聯繫魚樂網|FISHINGHK.com™  

GMT+8, 24/11/2025 23:32 , Processed in 0.132060 second(s), 69 queries , Gzip On.

Powered by Discuz! X3.5 © 2001-2017 Comsenz Inc.

System by FISHINGHK.com Since 2007-2-16

快速回復 返回頂部 返回列表